
Top hurricane sat photos of all time...
Moderator: S2k Moderators
Forum rules
The posts in this forum are NOT official forecasts and should not be used as such. They are just the opinion of the poster and may or may not be backed by sound meteorological data. They are NOT endorsed by any professional institution or STORM2K. For official information, please refer to products from the National Hurricane Center and National Weather Service.
Re: Top hurricane sat photos of all time...
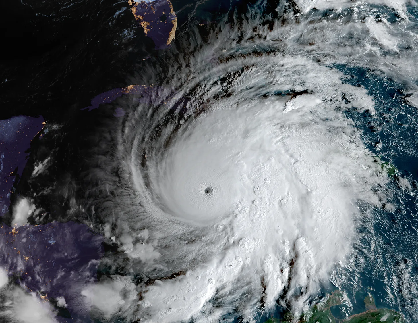
IR imagery of hurricane Melissa at 02:55z, October 28 2025. With a CI# and final T# of 8.5 and a raw T# of 8.6 (by UW-CIMSS Automated Satellite-Based Advanced Dvorak Technique), this is quite possibly the most impressive IR image of a tropical cyclone ever captured in the Atlantic.


10 likes
Re: Top hurricane sat photos of all time...
kevin wrote:IR imagery of hurricane Melissa at 02:55z, October 28 2025. With a CI# and final T# of 8.5 and a raw T# of 8.6 (by UW-CIMSS Automated Satellite-Based Advanced Dvorak Technique), this is quite possibly the most impressive IR image of a tropical cyclone ever captured in the Atlantic.
https://i.imgur.com/geRujY8.jpeg
I may try to track down versions of this frame with other color maps / zooms / GOES bands at some point. Though recon data indicate that Melissa had not yet reached her peak at the time, and it's well past local sunset so there's no VIS imagery, it's an absolutely historic hurricane satellite photo; no storm globally had attained such numbers from ADT before (at least not the raw T8.6; I know Haiyan made CI 8.5).. Just as worth preserving in this thread as the various photos/loops of Melissa's landfall that have already been added, IMO.
6 likes
- Category5Kaiju
- Category 5

- Posts: 4274
- Joined: Thu Dec 24, 2020 12:45 pm
- Location: Seattle and Phoenix
Re: Top hurricane sat photos of all time...
Roses are red
Violets are blue
Peak season's quite tame
But October won't be the same

Violets are blue
Peak season's quite tame
But October won't be the same

3 likes
Unless explicitly stated, all info in my posts is based on my own opinions and observations. Tropical storms and hurricanes can be extremely dangerous. Refer to an accredited weather research agency or meteorologist if you need to make serious decisions regarding an approaching storm.
Who is online
Users browsing this forum: Jonny, ncforecaster89 and 70 guests




