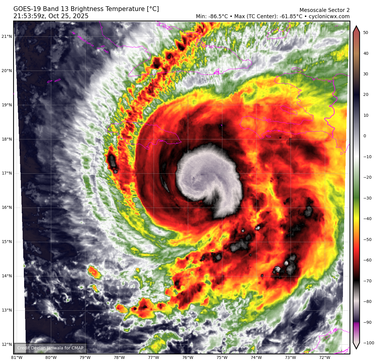
Is Melissa actually trying to close off a smaller eye??
NATL: MELISSA - Hurricane - Discussion
Moderators: hurricanetrack, S2k Moderators

The posts in this forum are NOT official forecasts and should not be used as such. They are just the opinion of the poster and may or may not be backed by sound meteorological data. They are NOT endorsed by any professional institution or STORM2K. For official information, please refer to products from the National Hurricane Center and National Weather Service.
- Iceresistance
- Category 5

- Posts: 9349
- Age: 22
- Joined: Sat Oct 10, 2020 9:45 am
- Location: Tecumseh, OK/Norman, OK
Re: NATL: MELISSA - Hurricane - Discussion
Is Melissa actually trying to close off a smaller eye??
0 likes
Bill 2015 & Beta 2020
Winter 2020-2021
All observations are in Tecumseh, OK unless otherwise noted.
Winter posts are focused mainly for Oklahoma & Texas.
Take any of my forecasts with a grain of salt, refer to the NWS, SPC, and NHC for official information
Never say Never with weather! Because ANYTHING is possible!
Winter 2020-2021

All observations are in Tecumseh, OK unless otherwise noted.
Winter posts are focused mainly for Oklahoma & Texas.
Take any of my forecasts with a grain of salt, refer to the NWS, SPC, and NHC for official information
Never say Never with weather! Because ANYTHING is possible!
-
WeatherBoy2000
- Category 1

- Posts: 445
- Joined: Mon Apr 10, 2023 9:29 am
Re: NATL: MELISSA - Hurricane - Discussion
zzzh wrote:NHC calls for a 140kt cat 5 peak!
If Melissa does achieve cat 5 intensity, 2025 would become the second Atlantic hurricane season on record to feature more than two cat 5s.
3 likes
Re: NATL: MELISSA - Hurricane - Discussion
WeatherBoy2000 wrote:zzzh wrote:NHC calls for a 140kt cat 5 peak!
If Melissa does achieve cat 5 intensity, 2025 would become the second Atlantic hurricane season on record to feature more than two cat 5s.
And it’ll be the season with the highest proportion of Cat 5s relative to NS total (23%), which is utterly ridiculous.
3 likes
Irene '11 Sandy '12 Hermine '16 5/15/2018 Derecho Fay '20 Isaias '20 Elsa '21 Henri '21 Ida '21
I am only a meteorology enthusiast who knows a decent amount about tropical cyclones. Look to the professional mets, the NHC, or your local weather office for the best information.
I am only a meteorology enthusiast who knows a decent amount about tropical cyclones. Look to the professional mets, the NHC, or your local weather office for the best information.
- cycloneye
- Admin

- Posts: 148076
- Age: 69
- Joined: Thu Oct 10, 2002 10:54 am
- Location: San Juan, Puerto Rico
Re: NATL: MELISSA - Hurricane - Discussion
0 likes
Visit the Caribbean-Central America Weather Thread where you can find at first post web cams,radars
and observations from Caribbean basin members Click Here
and observations from Caribbean basin members Click Here
- MGC
- S2K Supporter

- Posts: 5931
- Joined: Sun Mar 23, 2003 9:05 pm
- Location: Pass Christian MS, or what is left.
Re: NATL: MELISSA - Hurricane - Discussion
I'm afraid this is going to be catastrophic for Jamaica. Not too often a hurricane is forecast to make landfall as a Cat-5, sure hope the forecast is wrong. Melissa is in optimum conditions to intensify and I see little holding the cyclone back.....MGC
6 likes
-
USTropics
- Professional-Met

- Posts: 2697
- Joined: Sun Aug 12, 2007 3:45 am
- Location: Florida State University
Re: NATL: MELISSA - Hurricane - Discussion
This last VHT into convective updraft burst is likely going to establish the CDO and let the eyewall really build with height now:


2 likes
Re: NATL: MELISSA - Hurricane - Discussion
Really hard to say what recon will find at this point. Likely a strong Cat 1, as estimated on the 21z advisory, but what's more unclear at the moment - at least to my untrained eye - is the *rate* of intensification. We know from the MW imagery this morning that Melissa has the structure for very rapid intensification, and we saw an attempt at closing off an eyewall earlier this afternoon, but it doesn't appear to have been entirely successful. That said, the forecast discussion from the latest advisory suggests that the NHC doesn't think this delay will have much of an impact - if any - on the storm's overall intensification prospects.
2 likes
- galaxy401
- Category 5

- Posts: 2434
- Age: 30
- Joined: Sat Aug 25, 2012 9:04 pm
- Location: Casa Grande, Arizona
Re: NATL: MELISSA - Hurricane - Discussion
This appears to be an unprecedented hurricane in the making. A monster category 5 that will be crawling towards Jamaica. The closest analogy I can think of is the 1932 Cuba hurricane: Late season, very powerful storm that was crawling the Caribbean. Though that one missed Jamaica.
2 likes
Got my eyes on moving right into Hurricane Alley: Florida.
- Iceresistance
- Category 5

- Posts: 9349
- Age: 22
- Joined: Sat Oct 10, 2020 9:45 am
- Location: Tecumseh, OK/Norman, OK
Re: NATL: MELISSA - Hurricane - Discussion
That VHT has literally left behind a comma, that was one insane VHT

https://s12.gifyu.com/images/b3nnI.png

https://s12.gifyu.com/images/b3nnI.png
7 likes
Bill 2015 & Beta 2020
Winter 2020-2021
All observations are in Tecumseh, OK unless otherwise noted.
Winter posts are focused mainly for Oklahoma & Texas.
Take any of my forecasts with a grain of salt, refer to the NWS, SPC, and NHC for official information
Never say Never with weather! Because ANYTHING is possible!
Winter 2020-2021

All observations are in Tecumseh, OK unless otherwise noted.
Winter posts are focused mainly for Oklahoma & Texas.
Take any of my forecasts with a grain of salt, refer to the NWS, SPC, and NHC for official information
Never say Never with weather! Because ANYTHING is possible!
- Hypercane_Kyle
- Category 5

- Posts: 3424
- Joined: Sat Mar 07, 2015 7:58 pm
- Location: Cape Canaveral, FL
Re: NATL: MELISSA - Hurricane - Discussion
Hard to think of a way this could come in at a worse angle too... worst of the storm and surge will be piling right into Kingston. 1.19 million people will be under the worst of a Category 5 hurricane that is crawling.
2 likes
My posts are my own personal opinion, defer to the National Hurricane Center (NHC) and other NOAA products for decision making during hurricane season.
- Blown Away
- S2K Supporter

- Posts: 10236
- Joined: Wed May 26, 2004 6:17 am
Re: NATL: MELISSA - Hurricane - Discussion
Hypercane_Kyle wrote:Hard to think of a way this could come in at a worse angle too... worst of the storm and surge will be piling right into Kingston. 1.19 million people will be under the worst of a Category 5 hurricane that is crawling.
Terrible, as close as Melissa is now, it’s literally 2-3 days from landfall!

1 likes
Hurricane Eye Experience: David 79, Irene 99, Frances 04, Jeanne 04, Wilma 05… Hurricane Brush Experience: Andrew 92, Erin 95, Floyd 99, Matthew 16, Irma 17, Ian 22, Nicole 22…
-
USTropics
- Professional-Met

- Posts: 2697
- Joined: Sun Aug 12, 2007 3:45 am
- Location: Florida State University
Re: NATL: MELISSA - Hurricane - Discussion
Iceresistance wrote:That VHT has literally left behind a comma, that was one insane VHT
https://s12.gifyu.com/images/b3nnI.png
https://s12.gifyu.com/images/b3nnI.png
Yea it literally rotated upshear, so much energy was being transported it was creating radial mesoscale-gravity waves. Basically the vertical transport of momentum and heat becomes asymmetric, and these rapid changes radiate outward as concentric ripples/wave-like bands emanating from the storm core we see here as the sun goes down. This definitely has been rapidly intensifying:

8 likes
- ScottNAtlanta
- Category 5

- Posts: 2491
- Joined: Sat May 25, 2013 3:11 pm
- Location: Atlanta, GA
Re: NATL: MELISSA - Hurricane - Discussion
Recon is moving into lower altitude, so it wont be long before we know how much Melissa has strengthened.
0 likes
The posts in this forum are NOT official forecast and should not be used as such. They are just the opinion of the poster and may or may not be backed by sound meteorological data. They are NOT endorsed by any professional institution or storm2k.org. For official information, please refer to the NHC and NWS products.
Re: NATL: MELISSA - Hurricane - Discussion
Not sure what NOAA2 is doing. They’re zig zagging across the southern coast of Jamaica. Perhaps they’ve been called for search and rescue?
Edit, nvm, looks like they’re heading in now.
Edit, nvm, looks like they’re heading in now.
Last edited by aspen on Sat Oct 25, 2025 5:31 pm, edited 1 time in total.
2 likes
Irene '11 Sandy '12 Hermine '16 5/15/2018 Derecho Fay '20 Isaias '20 Elsa '21 Henri '21 Ida '21
I am only a meteorology enthusiast who knows a decent amount about tropical cyclones. Look to the professional mets, the NHC, or your local weather office for the best information.
I am only a meteorology enthusiast who knows a decent amount about tropical cyclones. Look to the professional mets, the NHC, or your local weather office for the best information.
- Hurricane2022
- Category 5

- Posts: 1787
- Joined: Tue Aug 23, 2022 11:38 pm
- Location: Araçatuba, Brazil
Re: NATL: MELISSA - Hurricane - Discussion
1 likes
Sorry for the bad English sometimes...!
For reliable and detailed information for any meteorological phenomenon, please consult the National Hurricane Center, Joint Typhoon Warning Center , or your local Meteo Center.
--------
ECCE OMNIA NOVA FACIAM (Ap 21,5).
For reliable and detailed information for any meteorological phenomenon, please consult the National Hurricane Center, Joint Typhoon Warning Center , or your local Meteo Center.
--------
ECCE OMNIA NOVA FACIAM (Ap 21,5).
- ScottNAtlanta
- Category 5

- Posts: 2491
- Joined: Sat May 25, 2013 3:11 pm
- Location: Atlanta, GA
Re: NATL: MELISSA - Hurricane - Discussion
Last edited by ScottNAtlanta on Sat Oct 25, 2025 5:34 pm, edited 1 time in total.
1 likes
The posts in this forum are NOT official forecast and should not be used as such. They are just the opinion of the poster and may or may not be backed by sound meteorological data. They are NOT endorsed by any professional institution or storm2k.org. For official information, please refer to the NHC and NWS products.
Return to “Active Storms/Invests - Atlantic/EastPAC/CentralPAC/MED”
Who is online
Users browsing this forum: No registered users and 242 guests









