ATL GUSTAV: Tropical Depression - Discussion
Moderator: S2k Moderators
-
Weatherfreak000
Re: Cat. 3 Hurricane Gustav in NW Caribbean Sea
where can we find a map with storm surge potential for Louisiana and Mississippi????
0 likes
-
Stratosphere747
- Category 5

- Posts: 3772
- Joined: Thu Sep 11, 2003 8:34 pm
- Location: Surfside Beach/Freeport Tx
- Contact:
Re:
Weatherfreak000 wrote:Im aware Chacor, just wanted to show how significantly the storm has been moving East from the forecast point. I'd estimate by half a degree.
Use the island as a benchmark then before coming up with that conclusion.
0 likes
-
soonertwister
- Category 5

- Posts: 1091
- Joined: Mon Jun 16, 2003 2:52 pm
Re:
dwg71 wrote:from 4 am to 7am cst, the nhc moved from 20.2 81.3 to 20.8 81.6. That is a huge difference.
By my calculations that was a move of 44 statute miles at a bearing of 298, or roughly 14.7 mph at just north of WNW.
0 likes
-
Derek Ortt
Re: Re:
soonertwister wrote:dwg71 wrote:from 4 am to 7am cst, the nhc moved from 20.2 81.3 to 20.8 81.6. That is a huge difference.
By my calculations that was a move of 44 statute miles at a bearing of 298, or roughly 14.7 mph at just north of WNW.
check your calculations. It moved .5N and .3W
0 likes
Re: Re:
soonertwister wrote:dwg71 wrote:from 4 am to 7am cst, the nhc moved from 20.2 81.3 to 20.8 81.6. That is a huge difference.
By my calculations that was a move of 44 statute miles at a bearing of 298, or roughly 14.7 mph at just north of WNW.
20.2N 81.3W to 20.8N 81.6W is more like 334° at about 15.4 mph by my calculations.
0 likes
-
CYCLONE MIKE
- Category 5

- Posts: 2183
- Joined: Tue Aug 31, 2004 6:04 pm
- Location: Gonzales, LA
Re: Cat. 3 Hurricane Gustav in NW Caribbean Sea
Since the topic seems to be what direction Gustav is/will move, I will ask this. Once he is in the gulf and does strenghten to a high end cat 4 or possibly low cat 5 at some point would that make for a more northerly direction. I always read on this site about storms forming out in the atlantic have a tendancy to want to pull north quicker the stronger they are? That is not considering of course if they a monsterous high sitting on top of them. Just wondering if the same type of thing exists when they are in the gulf or does it make any difference?
0 likes
-
Ed Mahmoud
Re: Re:
soonertwister wrote:dwg71 wrote:from 4 am to 7am cst, the nhc moved from 20.2 81.3 to 20.8 81.6. That is a huge difference.
By my calculations that was a move of 44 statute miles at a bearing of 298, or roughly 14.7 mph at just north of WNW.
0.3ºW and 0.6ºN movement can't be WNW, IMHO.
0 likes
-
TheShrimper
- Category 2

- Posts: 516
- Joined: Sun Aug 01, 2004 5:05 pm
Re: Re:
Derek Ortt wrote:soonertwister wrote:dwg71 wrote:from 4 am to 7am cst, the nhc moved from 20.2 81.3 to 20.8 81.6. That is a huge difference.
By my calculations that was a move of 44 statute miles at a bearing of 298, or roughly 14.7 mph at just north of WNW.
check your calculations. It moved .5N and .3W
nhc said .6N and .3W, thats more like 335
0 likes
Re: Cat. 3 Hurricane Gustav in NW Caribbean Sea
Extrapolated Pressure 951.9 mb
FL winds 118 knots
Surface 95 knots
121930 2042N 08137W 6968 02746 9519 +172 +080 185008 010 022 003 03
122530 2100N 08139W 6952 02825 9666 +110 +077 103084 107 095 010 00
122600 2103N 08138W 6981 02842 9744 +073 +073 094116 118 082 046 00
122630 2105N 08138W 6984 02857 9766 +071 +071 094114 115 084 049 00
FL winds 118 knots
Surface 95 knots
121930 2042N 08137W 6968 02746 9519 +172 +080 185008 010 022 003 03
122530 2100N 08139W 6952 02825 9666 +110 +077 103084 107 095 010 00
122600 2103N 08138W 6981 02842 9744 +073 +073 094116 118 082 046 00
122630 2105N 08138W 6984 02857 9766 +071 +071 094114 115 084 049 00
0 likes
-
Ed Mahmoud
Re: Cat. 3 Hurricane Gustav in NW Caribbean Sea
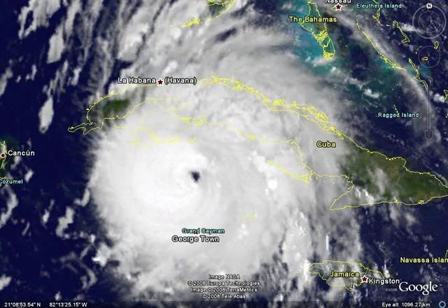
I wonder why the deepest convection doesn't wrap the Eastern side of the eye.
0 likes
Re: Re:
Derek Ortt wrote:soonertwister wrote:dwg71 wrote:from 4 am to 7am cst, the nhc moved from 20.2 81.3 to 20.8 81.6. That is a huge difference.
By my calculations that was a move of 44 statute miles at a bearing of 298, or roughly 14.7 mph at just north of WNW.
check your calculations. It moved .5N and .3W
Your forecast is really starting to look good (for verification, not for NO).
0 likes
-
Ed Mahmoud
Re: Cat. 3 Hurricane Gustav in NW Caribbean Sea
Judging from this, it wobbles back a touch NW (from NNW) at 7:15 am CDT
0 likes
-
CYCLONE MIKE
- Category 5

- Posts: 2183
- Joined: Tue Aug 31, 2004 6:04 pm
- Location: Gonzales, LA
Re: Cat. 3 Hurricane Gustav in NW Caribbean Sea
Hey Derek, when are you coming out with a new forecast on Gustav?
0 likes
- cheezyWXguy
- Category 5

- Posts: 6282
- Joined: Mon Feb 13, 2006 12:29 am
- Location: Dallas, TX
Re: Cat. 3 Hurricane Gustav in NW Caribbean Sea
Ed Mahmoud wrote:I wonder why the deepest convection doesn't wrap the Eastern side of the eye.
It is doing so right now...check the rammb floater.
0 likes
- haml8
- Tropical Storm

- Posts: 188
- Age: 50
- Joined: Sun Aug 19, 2007 10:03 pm
- Location: Katy, Texas
- Contact:
Re: Cat. 3 Hurricane Gustav in NW Caribbean Sea
I keep hearing from TWC, Accuweather and other mets locally that there is still a good degree of uncertainty as to how this high from the Ohio valley might effect Gustav. What is the feeling of the mets here on that same high and whether it will effect Gus and at what point can we say it will not be a player in the timing?
0 likes
Who is online
Users browsing this forum: No registered users and 19 guests






