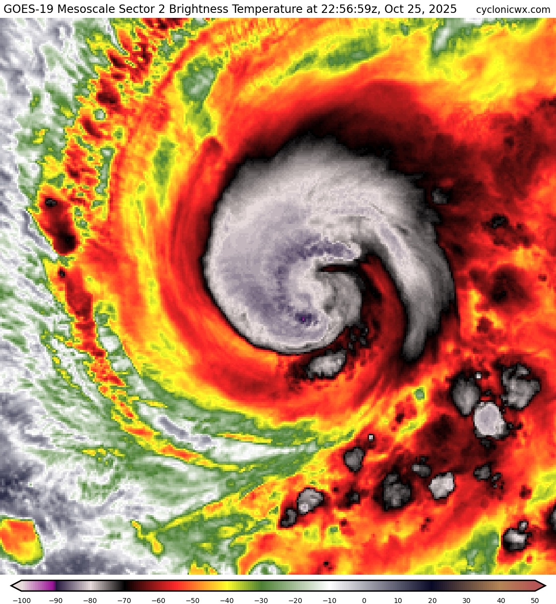
WaveBreaking wrote:It looks like Melissa is not trying to fire an entire semicircle of new VHTs in the W eyewall.
https://i.imgur.com/lmPb0bf.gif
If the eye can wrap around those cloud tops, look out.
Moderators: hurricanetrack, S2k Moderators


WaveBreaking wrote:It looks like Melissa is not trying to fire an entire semicircle of new VHTs in the W eyewall.
https://i.imgur.com/lmPb0bf.gif

WaveBreaking wrote:It looks like Melissa is not trying to fire an entire semicircle of new VHTs in the W eyewall.
https://i.imgur.com/lmPb0bf.gif

KirbyDude25 wrote:WaveBreaking wrote:It looks like Melissa is not trying to fire an entire semicircle of new VHTs in the W eyewall.
https://i.imgur.com/lmPb0bf.gif
Did you mean to type "now"? Regardless, it actually took a bit for me to spot the VHT semicircle because the entire CDO is so cold. Definitely taking off now (though we'll have to wait until the next pass to see just how fast)


Category5Kaiju wrote:Well, just looked at Twitter/X and saw that the legendary Josh Morgerman has made his decision to chase Melissa in Jamaica. Looks like things are about to get real!





GCANE wrote:107 knot winds at 907mb
65 knots at surface
Drop at max wind band

Blown Away wrote:GCANE wrote:107 knot winds at 907mb
65 knots at surface
Drop at max wind band
What’s your prediction for Melissa’s peak surface winds??
zzzh wrote:Notice that both NOAA and AF report double wind maxima in the SE.
Return to “Active Storms/Invests - Atlantic/EastPAC/CentralPAC/MED”
Users browsing this forum: cheezyWXguy, TheDreamTraveler and 113 guests